ޚަބަރު

ދެވަނަ ފިޔަވަހީގެ ލަގްޒަރީ ހައުސިންގ މަޝްރޫޢު ކުރިއަށް ގެންދާނެ ބަޔަކު ހޯދަނީ


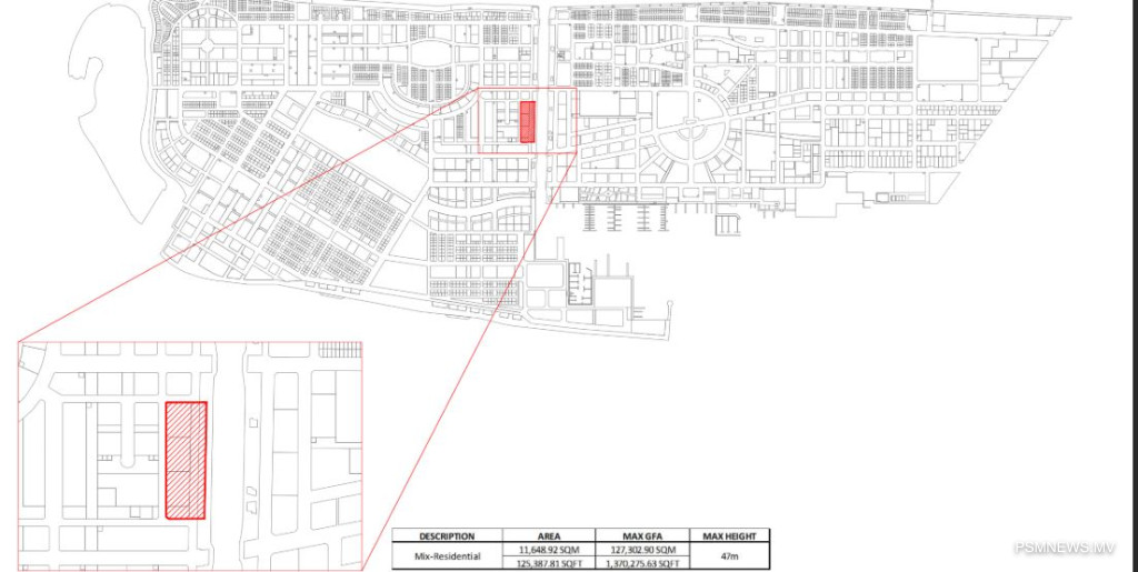
  • ފޭސް ދޭއްގެ 125،387 އަކަފޫޓުގެ ބިމެއް ވަނީ ހަމަޖައްސައިފައި

  • އެތަނުގައި 47 މީޓަރު އުހަށް އިމާރާތް ކުރެވޭނެ

ހުޅުމާލެ 2 ވަނަ ފިޔަވަހީގައި މިކްސްޑް ލަގްޒަރީ ރެޒިޑެންޝަލް މަޝްރޫޢެއް ހިންގާނެ ބަޔަކު ހޯދަން ހައުސިންގ ޑިވެލޮޕްމަންޓް ކޯޕަރޭޝަން (އެޗްޑީސީ) އިއުލާންކޮށްފިއެވެ.

ހުޅުމާލެ ދެވަނަ ފިޔަވަހީގައި ވިޔަފާރި އުސޫލުން މިކްސްޑް ރެސިޑެންޝަލް ނުވަތަ އަމިއްލަ ފަރާތްތަކުން ގެދޮރުވެރިކަމުގެ މަޝްރޫޢުތައް ހިންގުމަށް ބިން ދޫކޮށް އެކި ކަހަލަ ވިޔަފާރި ކުރުމަށް ޚާއްޞަ އިމާރާތް އެޅުމަށްވެސް މީގެ ކުރިން އެޗްޑީސީއިން ވަނީ ހުޅުވާލާފައެވެ.

އެޗްޑީސީއިން ވިދާޅުވީ މި މަޝްރޫއު ހަވާލުކުރުމުގައި އިސްކަންދޭނީ، ޑިވެލޮޕްމަންޓް އެންޑް ސޭލް ރައިޓްސް މޮޑެލްއަށް ކަމަށެވެ. އެހެންނަމަވެސް އެ ކޯޕަރޭޝަނަށް ހުށަހަޅާ އީއޯއައިތައް އެހެން މޮޑެލްތަކަށްވެސް ހުށަހެޅޭނެ ކަމަށާއި އޭގައި ދެ ފަރާތަށްވާނެ ފައިދާތައް ތަފްސީލުކޮށް ހިމަނަންވާނެ ކަމަށް ވިދާޅުވިއެވެ.

މި މަޝްރޫއަށް އެކަކަށްވުރެ ގިނަ ފަރާތްތަކުން ޝައުޤުވެރިކަން ފާޅުކޮށްފިނަމަ، މަޝްރޫއު ހަވާލުކުރާނީ އެ ކުންފުނީގެ ވިޝަންއާއި މާސްޓަރޕްލޭން، އެންމެ ފުރިހަމައަށް ހިމެނޭ އީއޯއައިއަކަށް ކަމަށްވެސް އެޗްޑީސީން ވިދާޅުވިއެވެ.

އެޗްޑީސީއިން ވިދާޅުވީ، މި މަޝްރޫއު ކުރިއަށް ގެންދިއުމަށް ފޭސް ދޭއްގެ 125،387 އަކަފޫޓުގެ ބިމެއް ހަމަޖައްސާފައިވާ ކަމަށެވެ. އަދި އެތަނުގައި 47 މީޓަރު އުހަށް އިމާރާތް ކުރެވޭނެ ކަމަށް ވިދާޅުވިއެވެ. މީގެއިތުރުން އެޗްޑީސީން ވިދާޅުވީ، އީއޯއައިތައް އިވެލުއޭޓް ކުރުމުގައި ބިޒްނަސް މޮޑެލްއާއި، ތަޖުރިބާއާއި ކޮންޓްރެކްޓަރުގެ ޓާމްތަކާއި، އެބައެއްގެ މާލީ ޤާބިލުކަމުގެ އިތުރުން ސީއެސްއާރު ފަދަ ކަންކަމަށް ބަލާނެ ކަމަށެވެ.

އެޗްޑީސީން ވަނީ، މިކަމަށް ޝައުޤުވެރިވާ ފަރާތްތަކުން މިމަހުގެ 24 ވަނަ ދުވަހުގެ 12:00 ގެ ކުރިން އެކްސްޕްރެޝަން އޮފް އިންޓްރެސްޓް (އީއޯއައި) ހުށަހެޅުމުގެ ފުރުސަތު ހުޅުވާލައިފައެވެ.

ހުޅުމާލެ ދެވަނަ ފިޔަވަހި ތަރައްޤީ ކުރުމުގެ މާސްޓަރ ޕްލޭނާ އެއްގޮތަށް، އެތަނުގައި ޚިދުމަތްތައް ޤާއިމުކުރުމުގެ މަސައްކަތް އެޗް.ޑީ.ސީން ދަނީ ކުރަމުންނެވެ.

ދެވަނަ ފިޔަވަހީގައި ތަރައްޤީ ކޮށްފައިވާ ސޯޝަލް ހައުސިންގ ފްލެޓްތަކާއި އަދި އަމިއްލަ މީހުން ތަރައްޤީ ކުރަމުންދާ ތަންތަނާއެކު، ދެވަނަ ފިޔަވަހީގެ އާބާދީ އަންނަނީ ވަރަށް ބޮޑަށް އިތުރުވަމުންނެވެ. އަދި ބިންވެރިޔާ ސްކީމްގެ ދަށުން ދޫކޮށްފައިވާ 1000 އަށްވުރެ ގިނަ ބިމާއެކު، ކުރިއަށް އޮތްތާނުގައި ހުޅުމާލެ ދެވަނަ ފިޔަވަހީގެ އާބާދީ ބޮޑުތަނުން އިތުރުވާނެއެވެ.

އެޗް.ޑީ.ސީން ދަނީ، މާސްޓަރ ޕްލޭނާ އެއްގޮތަށް މި އާބާދީއަށް ބޭނުންވާ އާއްމު ޚިދުމަތްތަކާއި އަދި އެހެންވެސް ޚިދުމަތްތައް ޤާއިމުކުރުމުގެ މަސައްކަތްތައް ކުރިއަށް ގެންދަމުންނެވެ.